颱風登入
登入過程
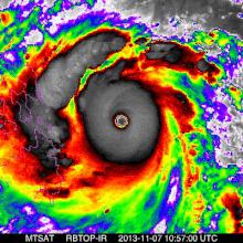
颱風海燕[2013年第30號超強颱風]超強颱風海燕於2013年11月8日凌晨4點40分在菲律賓中部薩馬省登入,登入時中心附近最大風速275KM/H(10分鐘平均),305KM/H(1分鐘平均)最大陣風達379KM/H,手持氣壓計達到878百帕。如果這些數據得到證實,將會為全球有記錄以來的最強登入颱風。
由於海燕以巔峰狀態登入菲律賓,海燕成為全球有記錄以來,登入時風速最高的熱帶氣旋。而其猛烈風力及引起的大規模風暴潮則在菲律賓中部造成毀滅性破壞,官方確認超過6100人死亡,菲國萊特省一名警官估計約1萬人罹難,而菲律賓紅十字會更表示失蹤人數高達25000人。風暴過後1個月,災區死亡人數仍然持續增加。
中央氣象台:預告圖強颱風“海燕”的中心2013年11月10日上午8點位於海南省三亞市南偏東方大約155公里的南海中西部海面上,中心附近最大風力14級(42米/秒)。
2013年11月11日海燕”於早晨5時在越南廣寧省下龍市沿海登入,登入時中心附近最大風力13級 (40米/秒)。上午9時進入廣西境內。
據廣西民政廳救災處介紹,截至11日14時30分統計,受災地區有北海市海城、銀海,防城港市上思、東興、防城,崇左市憑祥,南寧市江南、上林等4市8縣(市、區),災害合計造成2.89萬人受災,緊急轉移安置802人,因災死亡1人(溺水,海城區潿洲鎮);倒塌房屋3戶7間,嚴重損壞房屋4戶6間,一般損壞房屋28戶40間;直接經濟損失710.4萬元。
颱風海燕逐漸增強並在菲律賓登入另外,據廣西氣象台11日介紹,受“海燕”和冷空氣影響,10日8時至11日9時,廣西南部出現暴雨,部分地區出現大暴雨或特大暴雨。其中超過300毫米的有8個鄉鎮,其中防城港防城區垌中鎮降雨量達451毫米,防城港鋼城區扶隆鄉389毫米,上思縣十萬山公園320毫米,上思縣南屏鄉320毫米,欽州靈山太平鎮308毫米,上思縣叫安鄉304毫米,北海海城區北海港304毫米,上思縣平福299毫米;200-300毫米的有37個鄉鎮,100-200毫米有171個鄉鎮。北部灣海面出現9-10級、陣風12-13級大風,廣西南部部分地區出現6-7級、陣風10-12級大風。
受強降雨影響,廣西南部沿海多條河流水位上漲快,防城河、北崙河、明江上游和南流江支流武利江超警戒水位分別在0.13米到2.26米之間,其中東興河於11日13時左右出現超過8米(警戒水位5米)歷史最高洪水位。廣西水文水資源局介紹,受到降雨影響,廣西南部的江河水位仍在持續上漲,沿岸應做好準備應對中小河流暴雨洪水和局部山洪。
受“海燕”影響,2013年11月10日夜間到11日白天,南海中西部和西北部、北部灣、瓊州海峽及海南島沿海、廣東西部沿海、廣西沿海將有7至9級大風,其中北部灣的部分海域將有10至12級大風,“海燕”中心經過的附近海域風力有12至13級,陣風可達14至15級;廣西、海南島、廣東西南部及湖南中部和西南部、江西中北部、貴州東南部等地有大雨,其中廣西南部、海南島、雷州半島等地的部分地區有暴雨,局部大暴雨。
強度確定
天氣雷達反射率(颱風海燕登入環萊特島獨魯萬市)香港天文台最初說其接近中心最高持續風速每小時260公里(以10分鐘平均風速計算),僅以每小時10公里之差,遜於鮎魚之每小時270公里;後來更於“2013年11月熱帶氣旋概述”把海燕強度向上修訂至每小時275公里,以每小時5公里之差,超過了鮎魚。
中國中央氣象台評定其接近中心最高持續風速每小時270公里(以2分鐘平均風速計算),以每小時10公里之差,高於鮎魚之每小時260公里,後來於2014年6月12日更新颱風路徑及強度至每小時280公里,以每小時20公里之差,超過鮎魚 。
聯合颱風警報中心亦評定海燕的接近中心最高持續風速為每小時315公里(以1分鐘平均風速計算),高於鮎魚的每小時295公里,更超越1979年颱風泰培之每小時305公里,成為1979年颱風泰培後,34年以來首個1分鐘平均風速超過每小時300公里的熱帶氣旋。海燕更一度達到德沃夏克分析法中的T8.0。若把下表內官方氣象部門評定強度綜合考慮,海燕巔峰強度超過鮎魚和泰培。
強度減弱
颱風海燕[2013年第30號超強颱風]最高熱帶氣旋警告信號: 颱風紅色預警信號
11月8日上午10時,中央氣象台發布颱風藍色預警信號。
11月8日下午6時,中央氣象台改發颱風黃色預警信號。
11月9日上午10時,中央氣象台改發颱風橙色預警信號。
11月10日下午3時,中央氣象台改發颱風紅色預警信號。
11月11日上午5時在越南廣寧省下龍市沿海登入。上午6時,中央氣象台改發颱風橙色預警信號。上午9時進入廣西境內,10時廣西寧明縣境內變為強熱帶風暴,中央氣象台改發颱風黃色預警信號。下午6時,中央氣象台改發颱風藍色預警信號。下午8時50分變為熱帶低氣壓。
11月12日上午6時,中央氣象台解除颱風藍色預警信號。
停止編號
海燕11日20時在廣西南寧市區境內變為熱帶低壓,其後其強度持續減弱,中央氣象台於2013年11月11號23時對其停止編號。
發展過程
世紀颱風海燕2013年11月2日,一個熱帶擾動在馬紹爾群島西南部海面上生成。同日早上,美國海軍研究實驗室給予擾動編號99W。下午2時,聯合颱風警報中心對其在24小時內形成為熱帶氣旋的機會給予“LOW”的評級。下午8時,日本氣象廳將其升格為低壓區。
11月3日上午8時,日本氣象廳將其升格為熱帶低氣壓。上午10時30分,聯合颱風警報中心將發展機率升級為“MEDIUM”。下午1時30分,聯合颱風警報中心對其發布熱帶氣旋形成警報。下午5時,聯合颱風警報中心將其升格為熱帶低氣壓,並給予編號31W。
國際太空站下的颱風海燕11月4日上午3時30分,日本氣象廳對其發出海上烈風警報。上午9時15分,日本氣象廳將其升格為熱帶風暴,並命名為海燕。上午11時,聯合颱風警報中心將其升格為熱帶風暴。
11月5日上午8時50分,日本氣象廳將其升格為強熱帶風暴。上午11時,聯合颱風警報中心將其升格為一級颱風。下午11時,聯合颱風警報中心將其升格為二級颱風。
11月6日上午2時45分,日本氣象廳將其升格為颱風。上午5時,聯合颱風警報中心將其升格為三級颱風。上午11時,聯合颱風警報中心將其升格為四級颱風。下午11時,聯合颱風警報中心將其升格為五級颱風,是繼颱風天兔、颱風范斯高、颱風利奇馬之後本年度西北太平洋第四個五級颱風。
颱風海燕11月8日上午7時,海燕在菲律賓雷伊泰省杜拉格沿海登入。下午11時,聯合颱風警報中心將其降格為四級颱風。
11月9日下午5時,聯合颱風警報中心將其降格為三級颱風。
11月10日上午5時,聯合颱風警報中心將其降格為二級颱風。下午5時,聯合颱風警報中心將其降格為一級颱風。
11月11日上午2時50分,日本氣象廳將其降格為強熱帶風暴,並于越南廣寧省下龍市一帶沿海登入。上午11時,聯合颱風警報中心將其降格為熱帶風暴,並發出最後警報。下午2時50分,日本氣象廳將其降格為熱帶風暴。下午8時50分,日本氣象廳將其降格為熱帶低氣壓。下午11時,中國中央氣象台對其停止編號。
11月12日上午2時,日本氣象廳表示海燕已經消散。
強度比較
東維薩亞顯示由颱風海燕造成的死亡人數有彩色編碼的地圖。下表為海燕、本年度接近中心最高持續風速每小時185公里或以上之熱帶氣旋(按10分鐘平均風速,對應1分鐘平均風速每小時230公里或以上)、2010年鮎魚及1979年泰培之強度比較:
| 熱帶氣旋 | 日本氣象廳 | 台灣中央氣象局 | 香港天文台 | 菲律賓大氣地球物理和天文管理局 | 中國中央氣象台 | 聯合颱風警報中心 |
| 海燕 | 10分鐘平均 風速: 230km/h | 10分鐘平均 風速: 225km/h | 10分鐘平均 風速: 275km/h | 10分鐘平均 風速: 235km/h | 2分鐘平均 風速: 280 km/h | 1分鐘平均 風速: 315km/h |
| 鮎魚 | 10分鐘平均 風速: 230km/h | 10分鐘平均 風速: 235km/h | 10分鐘平均 風速: 270km/h | 10分鐘平均 風速: 240km/h | 2分鐘平均 風速: 260km/h | 1分鐘平均 風速: 295km/h |
| 利奇馬 | 10分鐘平均 風速: 215km/h | 10分鐘平均 風速: 210km/h | 10分鐘平均 風速: 210km/h | 未進入其責任範圍 | 2分鐘平均 風速: 215km/h | 1分鐘平均 風速: 260km/h |
| 范斯高 | 10分鐘平均 風速: 195km/h | 10分鐘平均 風速: 200km/h | 10分鐘平均 風速: 230km/h | 10分鐘平均 風速: 160km/h | 2分鐘平均 風速: 225km/h | 1分鐘平均 風速: 260km/h |
| 天兔 | 10分鐘平均 風速: 205km/h | 10分鐘平均 風速: 200km/h | 10分鐘平均 風速: 205km/h | 10分鐘平均 風速: 215km/h | 2分鐘平均 風速: 215km/h | 1分鐘平均 風速: 260km/h |
| 尤特 | 10分鐘平均 風速: 195km/h | 10分鐘平均 風速: 185km/h | 10分鐘平均 風速: 195km/h | 10分鐘平均 風速: 175km/h | 2分鐘平均 風速: 215km/h | 1分鐘平均 風速: 240km/h |
| 蘇力 | 10分鐘平均 風速: 185km/h | 10分鐘平均 風速: 185km/h | 10分鐘平均 風速: 205km/h | 10分鐘平均 風速: 185km/h | 2分鐘平均 風速: 200km/h | 1分鐘平均 風速: 230km/h |
| 丹娜絲 | 10分鐘平均 風速: 165km/h | 10分鐘平均 風速: 185km/h | 10分鐘平均 風速: 195km/h | 10分鐘平均 風速: 175km/h | 2分鐘平均 風速: 200km/h | 1分鐘平均 風速: 230km/h |
| 泰培 | 10分鐘平均 風速: 260km/h | 10分鐘平均 風速: 305km/h | 10分鐘平均 風速: 305km/h | 未進入其責任範圍 | 未進入其責任範圍 | 1分鐘平均 風速: 305km/h |
颱風影響
菲律賓
當地最高熱帶氣旋警告信號: 四號風暴信號
菲律賓附近一帶的電力及照明狀況圖11月6日下午11時,菲律賓大氣地球物理和天文管理局將已進入責任範圍的海燕評定為颱風,發布第一報熱帶氣旋資訊,命名為Yolanda,並發出一號風暴信號。
11月7日上午5時,菲律賓氣象部門發出二號風暴信號。上午11時,菲律賓氣象部門發出三號風暴信號。下午5時,菲律賓氣象部門發出四號風暴信號。海燕是繼颱風天兔吹襲巴丹群島後,2月以來第2次發出最高級別的四號風暴信號。
11月8日上午7時,海燕在雷伊泰省杜拉格沿海登入。
獨魯萬市一處雜物廢墟11月9日上午5時,菲律賓氣象部門解除四號風暴信號及三號風暴信號。上午11時,菲律賓氣象部門解除二號風暴信號。下午3時30分,海燕離開菲律賓氣象部門責任範圍,發布最後一報熱帶氣旋資訊,並解除一號風暴信號。
海燕在菲律賓東部及中部造成嚴重災情。根據官方公布的數字,最新死亡人數為1744人。不過有官員估計,單單在重災區禮智省獨魯萬市,就已經有至少10,000人死亡。根據菲律賓紅十字會估計,獨魯萬市罹難人數可能超過1,000人,市內房舍幾乎全遭摧毀。中部薩馬省估計也有200人喪生。雷伊泰省估計死亡人數可能超過1萬人。11月11日,菲律賓全國進入災難狀態。超過20個國家及國際組織加入救援行動。
獨魯萬市一戶被颱風摧毀的家庭2013年11月15日上午6時的一份災情通報稱,海燕已造成菲律賓2360人遇難,3853人受傷,另有71人失蹤。
2013年11月15日晚上8時,菲律賓國家減災管理委員會發布最新一份災情通報稱,海燕已造成菲律賓3631人遇難,12487人受傷,另有1179人失蹤。其中,187萬人流離失所,仍在避難中心內外接受救濟。受損的房屋數量也大幅增加到27萬多棟,其中逾15萬棟房屋完全被毀。
2013年11月27日清晨,菲律賓國家減災委員會發布訊息,救援人員在中部省份又找到260具災民遺體。海燕在該國造成的死亡人數已上升至5500人,另有1757人失蹤、近3萬人受傷。 減災委表示,在新增死者中,有207人來自重災區之一的萊特省塔克洛班市。
2013年12月03日,台灣省當局NGO國際事務會執行長吳榮泉表示,“中華民國”政府在第一時間捐助20萬美元,聯繫民間團體捐贈物資且委請“國防部”快速派遣C-130運輸機分批裝載(總計18架次)共680公噸物資,也派遣軍艦載運逾500公噸物資到菲國。截至昨天為止,各界賑災捐款以及當局政府民間所捐物資價值達到新台幣3億元(約1000萬美金)。
第一批英國資助者抵達麥克坦-宿霧國際機場2013年12月14——21日,台灣路竹會40人醫療團隊攜帶1萬人藥量駐紮宿霧災民後送地區義診。慈濟人醫會也投入災區為受災民眾進行醫護處理。慈濟基金會20日開始在重災區之一獨魯萬市推動“以工代賑”,累積近二十萬人次,以工代賑讓災民的重建生活逐漸步上軌道,居民一起復建災區、協助物資傳送,清理街道,重型機具可進駐做進一步清理。災民以自己力量重建家園,慈濟給予災民非常大的鼓勵。聯合國人道救援網頁頭版、美國華爾街日報報導台灣的慈濟慈善團體幫助菲律賓災民重建。災民們表示:“錢總有一天會用完,但你們帶給我們的,信任與希望,永遠會留在我們心中。
2013年12月17日晚上至18日早上,海燕風災重災區塔克洛班市居民為死者舉行燭光悼念會。
越南
海燕於11月11日凌晨5時在越南廣寧省下龍市沿海登入。11月10日海燕吹襲越南中部期間,已經造成6人死亡,包括一名採訪風暴的記者。
2013年11月11日06時,“海燕”中心位於北緯21點3度、東經107點3度,也就是在越南北部廣寧省境內,中心附近最大風力12級,達到35米每秒的風速,中心最低氣壓970百帕,8級大風範圍半徑約220公里。“海燕”未來將以每小時15公里的速度向偏北方向移動,強度將逐漸減弱。
廣東
地方級最高預警: 颱風藍色預警信號:茂名、電白
颱風黃色預警信號 :雷州、徐聞、湛江、遂溪、吳川、廉江
海南
全省最高颱風預警信號: 颱風橙色預警信號
2013年11月10日下午,“海燕”與海南擦身而過,海南島普降暴雨甚至大暴雨,其中瓊中遭遇特大暴雨襲擊,歷史同期罕見。
監測顯示,海南中部部分地區雨勢十分猛烈,截至2013年11月11日05時,瓊中24小時降雨量達278毫米,為特大暴雨量級,歷史同期罕見。此外,陵水降水量為233毫米、三亞174毫米,也都達到了大暴雨的量級。省會海口降雨量也達到了99.7毫米,接近大暴雨的量級。據歷史資料統計,11月海南出現如此強的降雨比較少見。
2013年11月10日“海燕”逼近,海南南部和西部部分地區進入海燕”核心風圈當中,海南島普遍出現了8級以上的陣風,三亞陣風風力甚至一度達到了16級。
由於風大雨急,三亞鳳凰國際機場、海口美蘭國際機場航班大面積延誤,三亞還一度出現了交通、電力中斷的情況。據南海網訊息,截止10日11時20分,三亞機場受影響航班達147架次(其中進港84班,出港63班),進港取消57班、延誤27班(備降5班),出港取消48班、延誤15班。
廣西
颱風海燕[2013年第30號超強颱風]全省最高颱風預警信號: 颱風橙色預警信號
2013年第30號颱風“海燕”已於11日上午9點鐘進入廣西境內,10點鐘在廣西寧明縣境內減弱為強熱帶風暴級,就是北緯21.9度、東經107.4度,中心附近最大風力有11級(30米/秒),中心最低氣壓為980百帕。
颱風海燕[2013年第30號超強颱風]“海燕”將以每小時15公里左右的速度向北偏東方向移動,2013年11月11日傍晚以後逐漸轉為東偏北方向,強度逐漸減弱。2013年11月11日中午到2013年11月12日中午,北部灣北部、廣西中南部及沿海將有7-9級大風,陣風10級,部分海域或地區將有10-11級大風,陣風12級,瓊州海峽、海南島北部沿海有7-8級大風,陣風9級;廣西、廣東中西部及貴州東南部、湖南大部、江西中北部、福建西北部等地有大雨,其中,廣西、廣東西部、湖南西南部等地的部分地區有暴雨,廣西中東部部分地區有大暴雨(100-230毫米)。
受“海燕”影響南寧多個航班延誤11條公路中斷
11月11日,受颱風“海燕”影響,南寧機場多個航班延誤,公路客運站往北海等方向的部分班車停運,全區專業公路有11條中斷交通。
11日上午9時起,南寧機場的雨勢和風勢不斷增強,造成成都、重慶、昆明、海口、上海飛來南寧的5個航班備降貴陽、桂林和廣州,直至下午4時過後,才陸續抵達南寧,延誤3~6小時,600餘名旅客出行受影響。當日,南寧飛往北京、深圳、西安、貴陽等地的12個出港航班,出現不同程度延誤,但延誤時間不長。
台灣
受海燕外圍環流及東北季風影響,台灣新北市海邊出現俗稱“瘋狗浪”的5米巨浪,龍洞地質公園附近有16人遭捲入海中,其中8人被救起時已經死亡。巨浪一共導致8死8傷。
港澳
受到海燕的廣闊環流和東北季風共同影響,海燕進入南海後,雖仍距離香港和澳門超過900公里,但香港在11月9日傍晚開始普遍颳起偏東強風,高地更受到烈風影響,澳門三條跨海大橋也開始持續吹強風。由於當時香港全面吹偏東風,而非東北風,可見當時是海燕主導香港境內強風,多於東北季風主導;但在海燕還沒進入距離香港800公里範圍的情況下,香港天文台未能發出熱帶氣旋警告信號。天文台在當晚7時10分發出強烈季風信號。海燕在翌日(11月10日)凌晨4時左右進入距離香港800公里範圍,香港境內強風持續超過75小時;但由於海燕路徑上對香港威脅有限,加上強度減弱,天文台不能轉發熱帶氣旋警告信號。多處地區風勢強勁,令境內海岸翻起大浪,有人無視泳灘紅旗高掛及救生員警告,堅持游泳,1人被大浪捲走失蹤。該名被捲走的青年於11月11日下午4時左右在泳灘的防鯊網外被發現,證實死亡。
雖然海燕在越南北部登入,但是海燕改向偏東移動,加上東北季風亦有所增強,香港風勢在11月11日變得更為強烈,廣泛地區受到強風影響,離岸出現短暫烈風,高地(例如昂坪)更一度直逼暴風程度。天文台熱帶氣旋警告信號測風網路8個指定自動氣象站有4個測得強風,若天文台發出熱帶氣旋警告信號,便已代表三號熱帶氣旋警告信號達標。長洲、機場、啟德、西貢測得最高10分鐘平均風速分別為每小時57、52、42、41公里。另一邊廂,澳門風勢亦同樣繼續加強,地球物理暨氣象局在同日下午3時半懸掛強烈季風信號。由於澳門風勢在翌日(11月12日)逐漸減弱,氣象局在翌日下午6時半除下強烈季風信號。當日日間香港多處地區仍受強風吹襲,但晚間香港境內風勢亦終於緩和,天文台在同日晚上10時45分取消強烈季風信號。
防禦指南
1.政府及相關部門按照職責做好防颱風搶險應急工作;
2.停止室內外大型集會和高空等戶外危險作業;
3.相關水域水上作業和過往船舶採取積極的應對措施,加固港口設施,防止船舶走錨、擱淺和碰撞;
4.加固或者拆除易被風吹動的搭建物,人員切勿隨意外出,確保老人小孩留在家中最安全的地方,危房人員及時轉移。
5.相關地區應當注意防範強降水可能引發的山洪、地質災害。
永久退役
菲律賓大氣地球物理和天文管理局基於風暴造成當地逾6000人死亡,故把 Yolanda退役。
2014年1月29日至同年2月1日舉行的第46屆颱風委員會年度會議上,颱風委員會亦通過將“海燕”退役。公布並在2015年的會議上通過由“白鹿”取代;同時菲律賓大氣地球物理和天文管理局亦把當地名稱“約蘭達”退役。
![颱風海燕[2013年第30號超強颱風] 颱風海燕[2013年第30號超強颱風]](/img/4/62e/nBnauM3XwUDM1QDNyUTO4ADN4MTM3cTN4QjMxADMwAzMwIzL1kzL2czLt92YucmbvRWdo5Cd0FmLxE2LvoDc0RHa.jpg)
